为落实“消防安全治本攻坚三年行动”要求,坚决预防和遏制消防安全事故的发生。现对近期发现的消防安全隐患予以公开曝光:
安乡县黄市咀小玲加油站
存在的问题:
1.每日防火巡查记录不规范
整改措施:责令立即整改。
隐患照片:

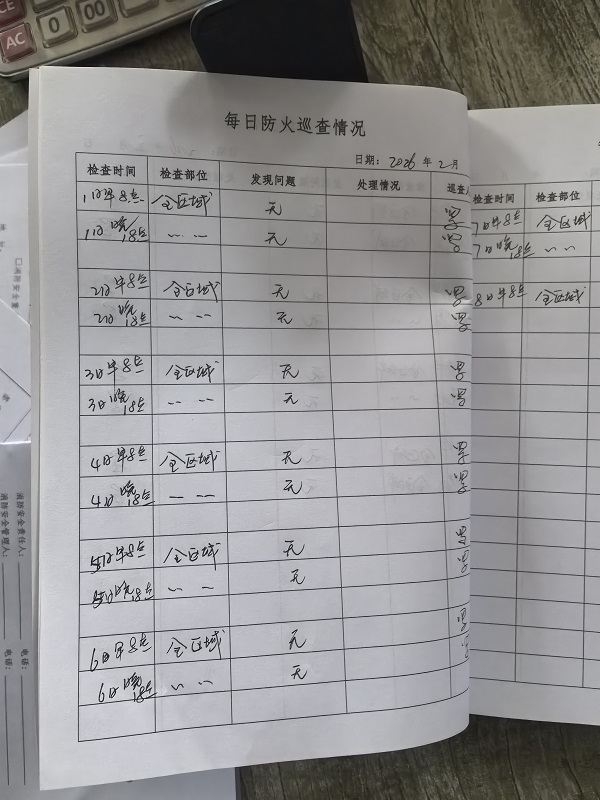
安乡县琳琅加油站
存在的问题:
1.每日防火巡查记录不规范
整改措施:责令立即整改。
隐患照片:

安乡县湘宏加油站
存在的问题:
1.每日防火巡查记录缺失
整改措施:责令立即整改。
隐患照片:

湖南金牛化工有限公司
存在的问题:
1.火灾报警控制器有火警点、故障点
整改措施:责令立即整改。
隐患照片:

安乡县嗨捌台球俱乐部
存在的问题:
1.消防主机上有火警点未处置
整改措施:责令立即整改。
隐患照片:

安乡县东信液化气站
存在的问题:
1.每日防火巡查记录缺失
整改措施:责令立即整改。
隐患照片:

安乡县江南加油站
存在的问题:
1.每日防火巡查记录缺失
整改措施:责令立即整改。
隐患照片:

2.“三自主两公开一承诺”未及时更新
整改措施:责令立即整改。
隐患照片:

3.部分灭火器软管破裂
整改措施:责令立即整改。
隐患照片:

安乡县陈家嘴中学
存在的问题:
1.部分室内消火栓未保持完好有效
整改措施:责令立即整改。
隐患照片:

来源:安乡县消防救援局
作者:李昂
编辑:安乡融媒
本文为安乡新闻网原创文章,转载请附上原文出处链接和本声明。